A Thief In Australia Broke Into A Car And Left The World's Nicest Note
Apology accepted.
These Pictures Of Baby Otters Are Just Too Cute
Forget the Apple Watch, we want a baby otter.
Why Did These Relationships End On "Seinfeld"?
"Yada yada yada" is not an option.
Where Are The Best Meat Pies In Australia?
We need to know, because there is just too much choice.
A Koala Took A Stroll Down A Street In Australia Because It Could
They see me rollin', they hatin'.
Lisa Wilkinson Just Asked The Most Awkward Question On Live TV
Spit or swallow?
A Woman Left A Romantic Sign For A Hot Guy And He Replied
It's a modern-day fairy tale, minus the Tinder.
A Cobra Killed This Man's Father, So He Kissed It On The Head
He kissed a snake and he liked it.
Watch The Incredible Moment Two Men Save A Baby Wombat In South Australia
Some quick thinking has given this joey a second chance. Warning: this post contains graphic imagery.
A Pod Of Dolphins Showed Surfers How To Surf In Australia
Not all animals Down Under want to kill you.
A Koala Has Been Caught Trying To Steal A Car In Australia
Those cute, cuddly carjackers.
Australia Only Had One Beach In The World's Top Ten And Here's Why
The beaches are disgusting down under.
An Octopus Attacked A Crab In Western Australia And It's Insane
Sea creatures battle it out on dry land!
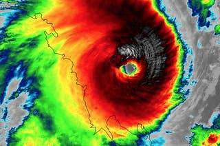
Queensland Battered By Category 5 Cyclone Marcia
Severe Tropical Cyclone Marcia hits coast as category five storm.
Quiz: Are These Places In Australia Or New Zealand?
We're not ~that~ different.
This Small Queensland Town Has A Melon Festival And It's Epic
That's how you use your melon!
A Giant Little Girl Took A Piss In The Middle Of A Perth Street
When you gotta go... you gotta go.
What Is The Best Karl Stefanovic Moment
Bloody legend.
17 Of The Most Outrageous Excuses For Calling In Sick
Some of you are just sick. Clever, but sick.
Tony Abbott Just Took The Most Hectic Selfie In Political History
"txt ur MPs, see who's keen."